Investigar los orígenes de Banfield es una garantía de encontrar todo tipo de historias, mitos, leyendas y curiosidades. Lo cierto es que por mucho que se busque en bibliotecas, archivos, documentos antiguos o incluso en internet, no se podrá hallar una fecha oficial de fundación. No fue hasta 2008 que un grupo de vecinos se propuso develar este misterio y ponerle día, mes y año al nacimiento de esta localidad. Un trabajo que les permite celebrar su 147º aniversario este 15 de agosto.
El aniversario de Banfield: un misterio revelado por la investigación de vecinos
El 15 de agosto de 1873 fue elegido y aprobado oficialmente como la fecha de fundación de Banfield, a partir del trabajo de una Junta de Estudios Históricos.
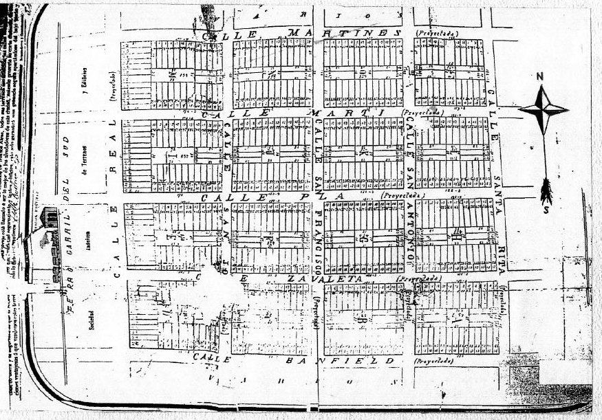
La iniciativa nació de la Junta de Estudios Históricos de Banfield, conformada por vecinos de distintas edades y profesiones dedicados a investigar la historia de la ciudad. Fueron ellos quienes se pusieron de acuerdo para establecer el 15 de agosto de 1873 como fecha fundacional de Banfield. ¿El motivo? Ese día apareció por primera vez la palabra “Banfield” para referirse a la ciudad. Fue en un aviso de la firma Adolfo Bullrich y Cía. sobre el loteo de estas tierras.
En aquella publicación de 1873, vista en los diarios La Prensa, La Nación y El Nacional, se eligió llamar “Banfield” a los terrenos ubicados entre la actuales calles Alsina, Rincón, Arenales y Chacabuco. Cerca de esa zona ya existía la estación de tren que tenía ese mismo nombre en homenaje al ingeniero inglés Edward Banfield, pilar del desarrollo del Ferrocarril del Sud.
“Banfield no se fundó nunca, nadie puso la piedra fundamental ni nada por el estilo, su origen fue de un loteo. El viernes 15 de agosto de 1873, en los diarios de Buenos Aires sale por primera vez la palabra Banfield cuando se hace ese primer loteo. A partir de ese momento se empieza a conocer el lugar como Banfield. El domingo 17 se empezaron a vender esos lotes y el 18 o 19 se hicieron las primeras escrituras”, detalló Jorge Deschamps, miembro de la Junta de Estudios Históricos, en charla con El Diario Sur.
Ahora bien, ¿cómo se explica que la estación de tren se llamó “Banfield” antes que la propia ciudad? Deschamps aclaró esta curiosidad: “Edward Banfield había sido el primer gerente del Ferrocarril. Él fallece muy joven, en 1872. El Ferrocarril decide ponerle su nombre a una nueva estación, pero en los primeros loteos todavía no figuraba el nombre Banfield porque ni siquiera tenían idea de si la estación se iba a habilitar o no”. En ese contexto, el anuncio del loteo realizado aquel 15 de agosto de 1873 le dio identidad a la ciudad por primera vez y para siempre.
En resumen: sin haber vivido nunca en esta zona, el británico Edward Banfield le dio nombre a la estación de tren, luego a la ciudad y años más tarde también al Club Atlético Banfield. Y él nunca lo supo.
Lejos de ser un capricho de vecinos, su argumento fue expuesto y aprobado por el mismísimo Concejo Deliberante de Lomas de Zamora en 2018. “El delegado municipal de Banfield nos convocó para que determináramos el día que empezó la ciudad. Elegimos el 15 de agosto, que además coincidía con el Día de la Virgen. Años después me hicieron ir al Concejo para que explicara esto mismo y ahí quedó la fecha. Ya hace unos años que la venimos festejando”, destacó Jorge. De esta manera, el 15 de agosto de 1873 se convirtió en la fecha oficial de fundación que habilita a los banfileños a festejar este 147º aniversario.
A causa de la pandemia, los vecinos no pueden celebrar sus 147 años con ningún evento social. Es por eso que a lo largo del mes de agosto realizan charlas a través de Zoom para recordar distintos detalles históricos de la ciudad. Se pueden ver a través del Facebook “Junta de Estudios Históricos de Banfield”. “Convocamos a vecinos a que puedan participar de las reuniones, aportar materiales como fotos familiares o del barrio, documentos para nuestro archivo o elementos para el futuro museo”", expresaron.




